У Львові перекриють залізничний переїзд
09:30 21 серпня 2018 р.
Фото: city-adm.lviv.ua
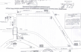
У зв’язку з проведенням колійних робіт, у вівторок, 21 серпня, з 10.00 до 20.30 перекриють рух транспортних засобів на залізничному переїзді Клепарів-Брюховичі.
Про це повідомили в прес-службі Львівської міськради , де також розповіли: Роботи проводить «Підзамчівська дистанція колії». Об’їзд буде здійснюватися відповідно до розробленої схеми організації дорожнього руху».
Термінові повідомлення читайте на каналі DailyLviv.com в Telegram та у Facebook
