Ремонтники перекрили автодорогу Львів-Меденичі
13:48 25 серпня 2017 р.
Фото: loda.gov.ua
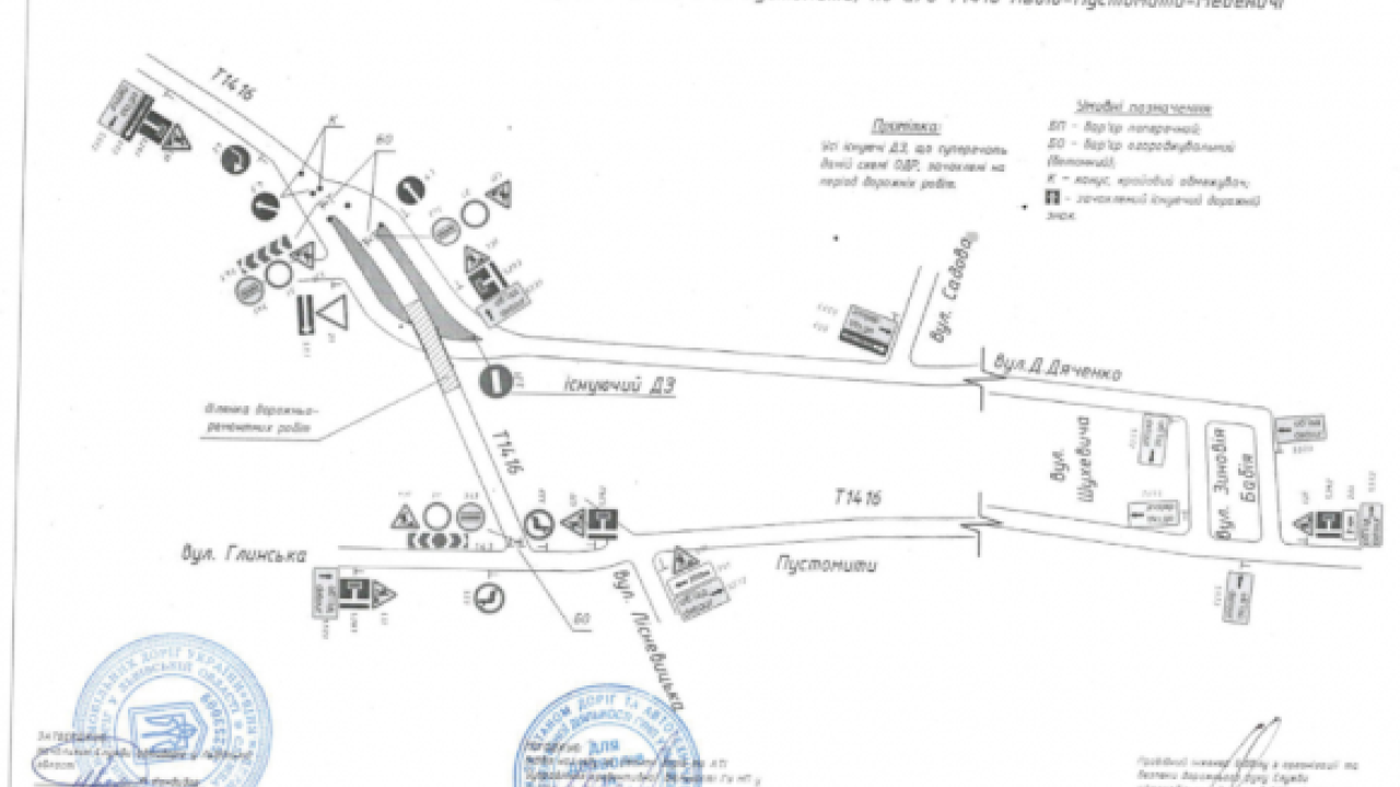
Ремонт на ділянці автомобільної дороги Т-14-16 триватиме до 20 грудня.
У зв'язку з проведенням ремонтних робіт на шляхопроводі 18+000 км автомобільної дороги Т-14-16 Львів-Пустомити-Меденичі в Пустомитах там перекрито рух транспорту до 20 грудня. Об'їзд здійснюєтьсяся автомобільною дорогою С141228 «Об'їзд міста Пустомити». Про це повідомили в прес-службі Львівської обласної державної адміністрації.
Термінові повідомлення читайте на каналі DailyLviv.com в Telegram та у Facebook
