Перекрито рух транспорту на вул. Княжій: до 14 серпня
09:40 15 липня 2021 р.
ЛМКП «Львівводоканал» вестиме роботи з реконструкції водопровідної мережі.
Про це пресслужбі ЛМР повідомили у департаменті житлового господарства та інфраструктури ЛМР, пише Dailylviv.
Від сьогодні, 15 липня, і до 20.00 год 14 серпня 2021 р буде перекрито рух транспорту на вул. Княжій.
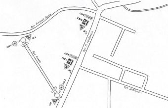
Причина перекриття вулиці Княжої: ЛМКП «Львівводоканал» буде вести роботи з реконструкції водопровідної мережі. Об’їзд відбуватиметься відповідно до затвердженої схеми організації дорожнього руху (на світлині вгорі).
Термінові повідомлення читайте на каналі DailyLviv.com в Telegram та у Facebook
