11:24 15 липня 2019 р.
Витоки зневоднили 18 вулиць ЛьвоваАварійно-ремонтні бригади «Львівводоканалу» ліквідовують два витоки.
Ситуації
11:24 15 липня 2019 р.
Витоки зневоднили 18 вулиць ЛьвоваАварійно-ремонтні бригади «Львівводоканалу» ліквідовують два витоки.
Ситуації
11:15 15 липня 2019 р.
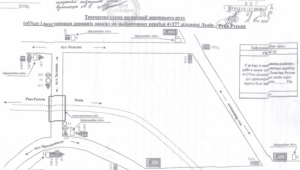
У Львові відбудеться громадське обговорення детального плану територіїУ понеділок, 15 липня, 18:00 у Личаківській районній адміністрації на вулиці Костя Левицького (№67) у Львові розпочнеться громадське слухання проекту детального плану території детального плану території у районі вулиць Мартовича, Григоровича й Дудаєва.
Ситуації
11:05 15 липня 2019 р.
Карантин у львівському підприємстві «Лев» завершивсяУ понеділок, 15 липня, завершився карантин у львівському комунальному підприємстві «Лев».
Ситуації
11:00 15 липня 2019 р.
Обленерго знеструмило дві вулиці ЛьвоваУ понеділок, 15 липня, у Львові знеструмили до 17.00 для проведення ремонтних робіт вулиці Зелену й Вулецьку.
Ситуації
10:45 15 липня 2019 р.
У Львові списали з балансу місцевих рад 44% будинківУ Львові триває процес списання будинків з балансу місцевих рад.
Ситуації
10:15 15 липня 2019 р.
Поліція працює на Львівщини в посиленому режиміПравоохоронці на Львівщині переведені в понеділок, 15 липня, на посилений варіант несення служби
Ситуації
10:10 15 липня 2019 р.
У Львові перекрили перехрестя двох вулицьУ зв’язку з переключенням новозбудованого водогону з понеділка, 15 липня, до 22-ї години 31 липня перекрито рух транспорту на перехресті вулиць Пꞌясецького й Полковника Болбочана.
Ситуації
10:05 15 липня 2019 р.
У Львові закрили на ремонт залізничний переїздУ зв’язку з проведенням колійних робіт, у понеділок, 15 липня, до 20.30 перекрито для руху транспорту залізничний переїзд Клепарів-Брюховичі.
Ситуації
09:45 15 липня 2019 р.
Вибухотехніки й кінолог перевіряють на Львівщині повідомлення про замінування санаторіюУ понеділок, 15 липня, близько 8.15 на електронну скриньку одного зі санаторіїв у Трускавець надійшло анонімне повідомлення про замінування.
Ситуації
09:42 15 липня 2019 р.
Рятувальники вивільнили львів’янку з-під ванни14 липня о 19:41 до Служби порятунку «101» надійшло повідомлення, що в квартирі на восьмому поверсі дев’ятиповерхового житлового будинку на вулиці Кульпарківській у Львові застрягла під ванною жінка й потребує допомоги.
Ситуації
09:30 15 липня 2019 р.
У Львові зареєстрували минулої доби 34 ДТП14 липня на автодорогах Львівської області зареєстрували 60 дорожньо-транспортних пригод, п’ять із яких були з потерпілими – травмувалися 12 людей.
Ситуації
09:20 15 липня 2019 р.
У Львові відкрили для проїзду частину вулиці ЗамарстинівськоїНа вулиці Замарстинівській уже можна проїхати на її ділянці від вулиці Липинського до вулиці Малинової.
Ситуації
09:15 15 липня 2019 р.
У Львові перекрили вулицю Січових СтрільцівУ зв’язку з проведенням поточного ремонту дорожнього покриття частини вулиці Січових Стрільців, там перекрили в понеділок, 15 липня, до 22-ї години 22 липня рух транспорту на ділянці від вулиці Костюшка до вулиці Гнатюка.
Ситуації
12:00 14 липня 2019 р.
Водій автобуса у Львові переглядав під час руху фільмМобільний телефон з включеним фільмом лежав на панелі перед кермом водія маршрутного автобуса.
Ситуації
11:48 14 липня 2019 р.
Витік зневоднив частину львів’янАварійно-ремонтна бригада «Львівводоканалу» ліквідовує витік у будинку №45 на проспекті Чорновола.
Ситуації
Яворівська іграшка у цифровому світі
Старт проєкту RE:Berry, який підтримає розвиток ягідного бізнесу регіону
Як ветерани розвивають культурні традиції Яворівщини
Наталія Похмурська про залаштунки Miss Freedom of the World
Рекрутинг у 7 прикордонний Карпатський загін та поточна ситуація на кордон