Вулицю Вахнянина сполучатиме з площею Соборною тимчасовий автобусний маршрут
15:15 29 серпня 2016 р.
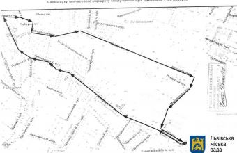
Схема організації руху
Фото: прес-служба Львівської облдержадміністрації
Курсування тимчасового автобусного маршруту планується до завершення робіт на вулиці Мечникова.
«З 1 вересня курсуватиме тимчасовий автобусний маршрут «вулиця Вахнянина – площа Соборна», – повідомили сьогодні, 29 серпня, в прес-службі міськради, де також розповіли подробиці:
«Як повідомили в управлінні транспорту та зв’язку, беручи до уваги наказ про перекриття руху транспорту на вулиці Мечникова (від вулиці Пекарської до вулиці Шімзерів), для забезпечення доїзду пасажирів з мікрорайону Погулянка до центральної частини Львова, з 1 вересня до 31 жовтня буде курсувати тимчасовий автобусний маршрут «вулиця Вахнянина – площа Соборна». Курсування тимчасового автобусного маршруту зі сполученням вулиця Вахнянина – площа Соборна планується до завершення робіт на вулиці Мечникова.Початок роботи тимчасового автобусного маршруту – о 07.00 (на вулиці Вахнянина), закінчення роботи – 21.00 (на вулиці Вахнянина) з інтервалом руху до 40 хвилин».
Термінові повідомлення читайте на каналі DailyLviv.com в Telegram та у Facebook
